RealtyDepotNY
Cell: 347-219-2037
Fax: 718-896-7020





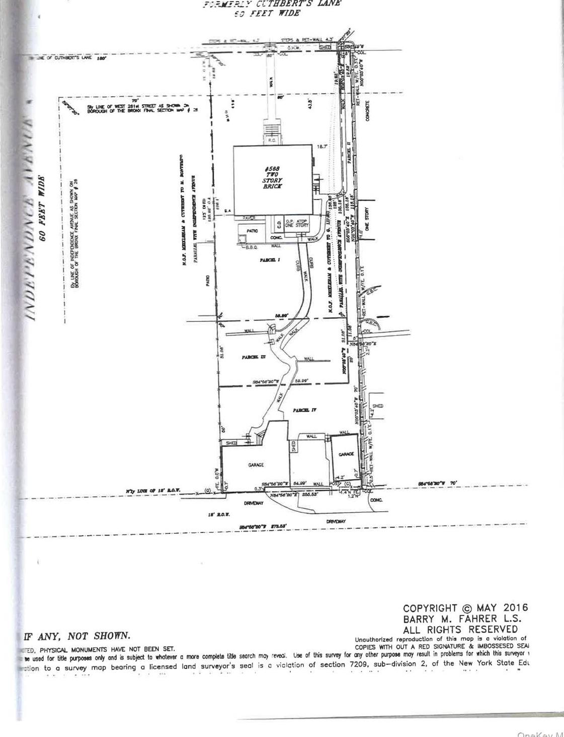
Land For Development In High-net-worth North Riverdale Community. Whether Your Looking To Build Your Dream Home In An Elite Community Minutes To/from Manhattan Or A Builder Specializing In High-net Worth Housing, This Is The Opportunity You Have Been Waiting For! Owner Will Subdivide The Present 65 X 206 Lot Offering A 65 X 100 Subdivision. Block 5953 / Lot 367. R1-2 Zoning Allowing For A Detached Single-family Home (minimum Requirements Include; Lot Area 5, 700 Sf, Lot Width 60ft., Rear Yard 30 Ft., Side Yards 20 Ft Total, Open Space Ratio 150, Max Far .5, Sky Exposure Plane - Starts At 25ft., Du Factor 2, 850, Requited Parking 1 Per Du.) owner Will File Subdivision Paperwork With Signed Contacts. With A 6, 500 Sq. Ft. Footprint And A .5 Max Far, The Base Calculation For A Single-family Home Should Be Approximately 3, 250 Sq. Ft. In A Community Where The Last Home Sold For $2, 037, 300 (550 W 261st -). Potential For An Additional 700 - 800 Sq Ft Due To Recent Adu Legislation Passed. Information Is Deemed Accurate But Must Be Verified By A Professional Architect. The Subdivision Includes The Back Lot Portion, Not The Front Lot Where The Home Is Situated. X Rated Non-flood Zone. Special Natural Area District (snad) Overlay Applicable. Annual Taxes Entered As Zero Since The Lot Is Not Yet Subdivided.
| Location/Town | New York |
| Area/County | Bronx |
| Post Office/Postal City | Bronx |
| Prop. Type | Land |
| Lot Size | 65x100 |
| Lot SqFt | 6,500 |
| Days On Market | 109 |
| Tax Assessed Value | 19260 |
| Tax Lot | 367 |
| School District | Contact Agent |
| Middle School | Call Listing Agent |
| Elementary School | Contact Agent |
| High School | Contact Agent |
| Listing information courtesy of: Keller Williams Realty NYC Grp | |